安徽阜阳市自然资源和规划局,发布安徽栎玛仕电子科技有限公司年产5000吨精密金属压铸件加工制造项目规划公示。

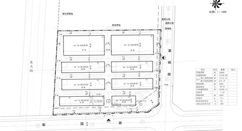
依据有关规定,现将“年产5000吨精密金属压铸件加工制造项目”进行公示。公示期从2022年11月18日至2022年11月28日。该项目位于颍东区富颍路西侧、梨园路北侧。规划用地性质为工业用地,用地面积为20000平方米。本次规划沿梨园路设主出入口、沿富颍路设次出入口,规划新建8栋厂房,其中1层厂房2栋、2层厂房2栋、3层厂房2栋、4层厂房1栋、6层厂房1栋,本次规划方案本次规划方案各项指标均满足规划设计条件和《阜阳市控制性详细规划通则》要求。

20.08万

20.21万

8299

1.55万

9938

8838

1.25万

1.27万

1.2万

1.56万

1.3万
8887

1.15万

1.27万

4659

1.05万
9383

9610

5041

4184